Northeastern Asian Flora
Log In New Account Sitemap
  • Home
  • Search
    • Search Collections
    • Map Search
  • Images
    • Image Browser
    • Search Images
  • Inventories
  • Interactive Tools
    • Dynamic Checklist
    • Dynamic Key
Quercus mongolica Fisch. ex Ledeb.   (redirected from: Quercus mongolica f. funebris (Koidz.) Nakai)
Family: Fagaceae
[Quercus crispula var. manschurica Koidz., moreQuercus funebris H.Lev. ex Nakai, Quercus kirinensis Nakai, Quercus liaotungensis Koidz., Quercus liaotungensis var. heterophylla A.Camus, Quercus mongolica f. funebris (Koidz.) Nakai, Quercus mongolica var. acutidentata Nakai, Quercus mongolica var. kirinensis (Nakai) Kitag., Quercus mongolica var. laciniata Nakai, Quercus mongolica var. liaotungensis (Koidz.) Nakai, Quercus mongolica var. macrocarpa H.WeiJen & L.M.Wang, Quercus mongolica var. manschurica (Koidz.) Nakai, Quercus sessiliflora var. mongolica Franch., Quercus undulatifolia H.L?. ex Nakai, Quercus wutaishanica Mayr]
Quercus mongolica image
General Administrator
  • Description #1
  • Resources
<Korea Flora>

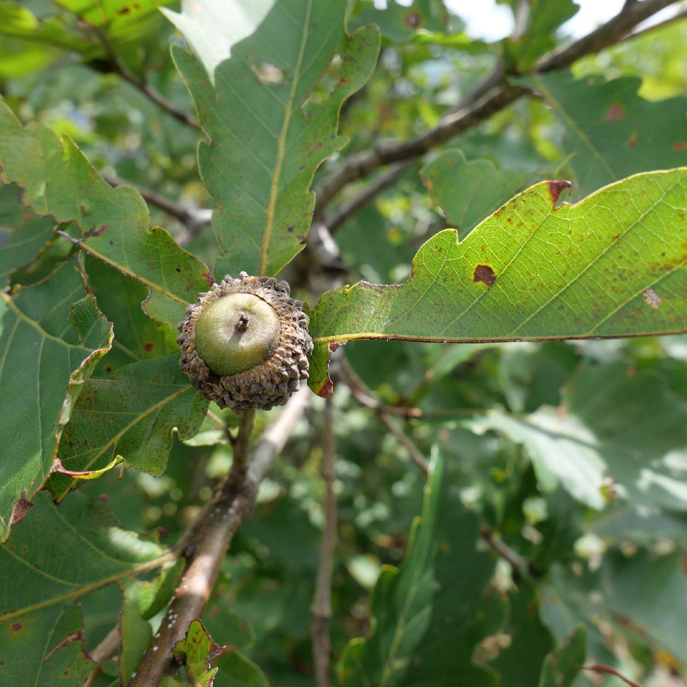
Trees to 30 m tall, 1 m d.b.h, deciduous. Branchlets purple-brown, angular, glabrous, lenticellate. Leaf blade obovate to narrowly so, 7-20 cm long, (3)5-10 cm wide, hairy along veins, glabrescent, base narrowly rounded to auriculate, margin with 7-10 undulate to rough serrations on each side, apex truncate, shortly mucronate, or cuspidate; petiole 1-13 mm, glabrous. Female inflorescences axillary on apical part of young shoot, 0.5-2 cm; cupules 4 or 5 but usually only 1 or 2 fertile. Perianth 6-lobed. Fruits cupule cupular, 6-25mm long, 6-15 mm wide, enclosing 1/3 of nut; bracts basal from cupule rim triangular-ovate, abaxial surface semiglobose tuberculate; nuts narrowly ovoid, glabrous except for apex.ever.

Flowering Apr to May.
Fruting September to October
Distribution:  China, Korea, Russia.
Korea:  All provinces.  Forming pure stands on higher mountain slopes, dry bluffs and foothills; to ca. 1600 m in E Korea.

Quercus mongolica var. crispula (Blume) H. Ohashi in Japan is suspected as being the result of introgressive hybridization of Q. mongolica with Q. serrata.  Populations of  fairly narrow distribution and extreme variability occur often with Q. mongolica x Q. serrata in southern Korea (Jiri-san and Halla-san).  Q. mongolica var. crispula in Korea exhibits the leaf form of Q. mongolica var. mongolica, but the trichome characters of Q. serrata.  Although It is morphologically different from Q. mongolica var. crispula in Japan, Korean taxon is treated as a variety of Q. mongolica likewise in terms of hybridization between Q. mongolica and Q. serrata.

 

Quercus mongolica
Open Interactive Map
Quercus mongolica image
General Administrator
Quercus mongolica image
General Administrator
Quercus mongolica image
General Administrator
Quercus mongolica image
Chin Sung Chang
Quercus mongolica image
Quercus mongolica image
Quercus mongolica image
Quercus mongolica image
Quercus mongolica image
Quercus mongolica image
Quercus mongolica image
Quercus mongolica image
Quercus mongolica image
Quercus mongolica image
Quercus mongolica image
Quercus mongolica image
Quercus mongolica image
Quercus mongolica image
Quercus mongolica image
Quercus mongolica image
Quercus mongolica image
Quercus mongolica image
Quercus mongolica image
Quercus mongolica image
Quercus mongolica image
Quercus mongolica image
Quercus mongolica image
Quercus mongolica image
Quercus mongolica image
Quercus mongolica image
Quercus mongolica image
Quercus mongolica image
Quercus mongolica image
Quercus mongolica image
Quercus mongolica image
Quercus mongolica image
Quercus mongolica image
Quercus mongolica image
Quercus mongolica image
Quercus mongolica image
Quercus mongolica image
Quercus mongolica image
Quercus mongolica image
Quercus mongolica image
Quercus mongolica image
Quercus mongolica image
Quercus mongolica image
Quercus mongolica image
Quercus mongolica image
Quercus mongolica image
Quercus mongolica image
Quercus mongolica image
Quercus mongolica image
Quercus mongolica image
Quercus mongolica image
Quercus mongolica image
Quercus mongolica image
Quercus mongolica image
Quercus mongolica image
Quercus mongolica image
Quercus mongolica image
Quercus mongolica image
Quercus mongolica image
Quercus mongolica image
Quercus mongolica image
Quercus mongolica image
Quercus mongolica image
Quercus mongolica image
Quercus mongolica image
Quercus mongolica image
Quercus mongolica image
Quercus mongolica image
Quercus mongolica image
Quercus mongolica image
Quercus mongolica image
Quercus mongolica image
Quercus mongolica image
Quercus mongolica image
Quercus mongolica image
Quercus mongolica image
Quercus mongolica image
Quercus mongolica image
Quercus mongolica image
Quercus mongolica image
Quercus mongolica image
Quercus mongolica image
Quercus mongolica image
Quercus mongolica image
Quercus mongolica image
Quercus mongolica image
Quercus mongolica image
Quercus mongolica image
Quercus mongolica image
Quercus mongolica image
Quercus mongolica image
Quercus mongolica image
Quercus mongolica image
Quercus mongolica image
Quercus mongolica image
Click to Display
100 Initial Images
- - - - -
View All Images

Development supported by College of Agriculture and Life Sciences of Seoul
National University and Korea National Arboretum of Korea Forest Service.
Powered by Symbiota.